Description
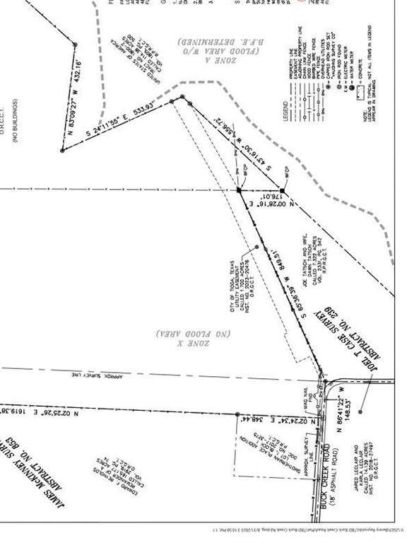
RARE opportunity for Investors, Developers and Builders in southwest Grayson County, just east of Tioga on the busy FM 121. With the opening of the new toll road, this area is absolutely HOT. A total of + or - 98.40 acres for Property ID 131505. Must be sold with MLS 20441688 and 20441682. ADJACENT ACREAGE AVAILABLE. New survey attached. Soil report available. The total of + or - 208 acres has been approved for a Planned Development with the City. A copy of the City's Ordinance with details for the Planned Development is available upon request. The city of Tioga has installed city water and city sewer along the southern edge of the property on Buck Creek Rd. It has a current Ag Exemption and resides within city limits. Don't hesitate to reach out with questions about this exciting and unique opportunity! Land can be easily seen from 121 and Buck Creek Rd or it can be shown upon request. Contact Troy Braswell with questions and requests, and please do not bother the neighbors.
-
0BEDS
-
98.4ACRES
-
0BATHS
-
01/2 BATHS
School Information
Description
RARE opportunity for Investors, Developers and Builders in southwest Grayson County, just east of Tioga on the busy FM 121. With the opening of the new toll road, this area is absolutely HOT. A total of + or - 98.40 acres for Property ID 131505. Must be sold with MLS 20441688 and 20441682. ADJACENT ACREAGE AVAILABLE. New survey attached. Soil report available. The total of + or - 208 acres has been approved for a Planned Development with the City. A copy of the City's Ordinance with details for the Planned Development is available upon request. The city of Tioga has installed city water and city sewer along the southern edge of the property on Buck Creek Rd. It has a current Ag Exemption and resides within city limits. Don't hesitate to reach out with questions about this exciting and unique opportunity! Land can be easily seen from 121 and Buck Creek Rd or it can be shown upon request. Contact Troy Braswell with questions and requests, and please do not bother the neighbors.
© 2026 North Texas Real Estate Information Systems. All rights reserved. IDX information is provided exclusively for consumers' personal, non-commercial use and may not be used for any purpose other than to identify prospective properties consumers may be interested in purchasing. Information is deemed reliable but is not guaranteed accurate by the MLS or One West Real Estate Co.. The data relating to real estate for sale or lease on this web site comes in part from NTREIS. Real estate listings held by brokerage firms other than One West Real Estate Co. are marked with the NTREIS logo or an abbreviated logo and detailed information about them includes the name of the listing broker. Data last updated 2026-03-13T17:45:33.02.

Listing information © 2026 North Texas Real Estate Information System.